
アクティブ・レンジャー日記 [関東地区]
ウミガメの泳ぐ海 八丈島(伊豆諸島地域)
2019年09月17日こんにちは。伊豆諸島管理官事務所の竹下です。
先日の台風15号による被害に遭われた方に、お見舞い申し上げます。
報道されているように、伊豆諸島でも大きな被害が出ています。
当事務所のある大島では、家屋損壊が多数、一部地域で停電や断水が続き、倒木や土砂崩れによる通行止めが数カ所あるような状況です。停電については、今日から大島全域で復旧したようです。
観光で伊豆諸島を訪問される予定の方は、宿泊先や訪問予定の施設が復旧しているかどうかご確認ください。
被害・復旧・支援などに関する情報を確認できる、各島の役場や観光協会のホームページのリンクを紹介します。
大島町 https://town.oshima.tokyo.jp/
利島村 http://www.toshimamura.org/tourism
神津島村 https://vill.kouzushima.tokyo.jp/
式根島観光協会 https://shikinejima.tokyo/
さて、台風の襲来する前週に、八丈島へ行って参りました。
八丈島は、東京から南へ約287km、羽田空港から約55分、竹芝港から約10時間20分の場所にあり、面積は約69.11平方キロメートルと、伊豆諸島では伊豆大島の次に大きい島です。島はひょうたん型をしていて、北に八丈富士、南に三原山の二つの山がそびえています。
▲登龍園地からの景色。三原山中腹にある登龍峠からは、八丈島の中心部、八丈富士、八丈小島を見渡せる。
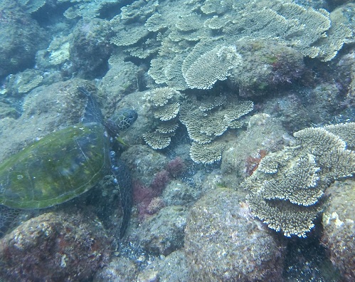
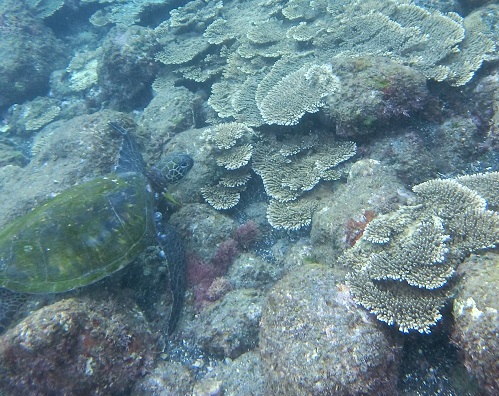
八丈島の海はとても綺麗で、シュノーケルで泳いでいける範囲でもサンゴやウミガメを見ることができます。
また、冬期にはザトウクジラも訪れます。
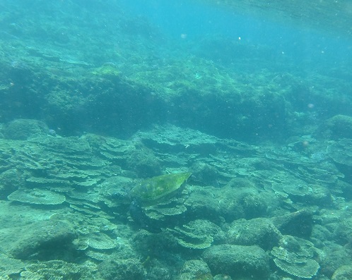
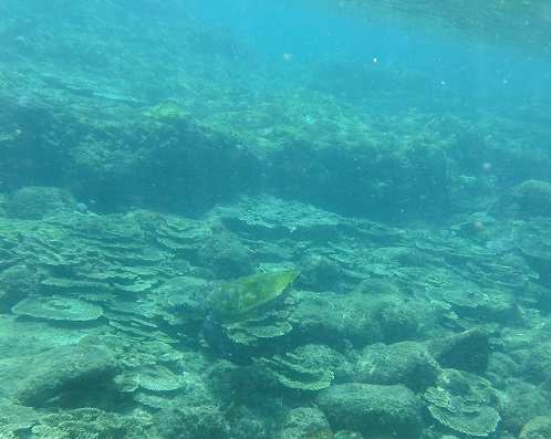
今回は、国立公園の海域調査のため、島の東側にある底土海水浴場へ行きました。
▲底土海水浴場。
▲海藻を食べるアオウミガメ
▲テーブルサンゴが広がる
海の透明度は高く、砂浜から数mの場所には、なんとテーブルサンゴが広がっています・・・。
サンゴの間には様々な魚、そして、ウミガメが泳いでいます・・・!!
周辺には複数頭のアオウミガメが生息しているようで、1時間程度で2回遭遇することができました。ゆったりと泳いで海藻を食べるウミガメの姿を見ていると、なんだか幸せな気持ちになります。
アオウミガメ(学名:Chelonia mydas mydas)は、環境省のレッドデータブックに絶滅危惧Ⅱ類として掲載されている種です。インド洋~太平洋、大西洋、地中海と、世界の広い範囲に分布していますが、日本は北縁の産卵海域であり、大切な餌場でもあります。
底土海水浴場では、観光客がウミガメに触れたり、ウミガメの行動を妨げたりする行為も見受けられるようです。ほどよい距離を保ち、ウミガメに出会える環境を大切にしていきたいです。
八丈島は、海だけでなく、八丈富士や三原山のトレッキングコースも魅力的です。
次回は、八丈富士山頂のトレッキングコースについて紹介したいと思います。
▲底土港沖から見た八丈富士
※八丈島へのアクセス、観光情報はこちらです。
八丈島観光協会 http://www.hachijo.gr.jp/




